Daily Updates
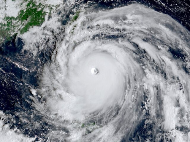
Super Typhoon Ragasa: Key Developments in China, Philippines, and Taiwan
BEIJING/MANILA/TAIPEI: Super Typhoon Ragasa has forced widespread shutdowns and mass evacuations across China, the Philippines, and Taiwan, bringing destructive winds,...
Read More
France Recognises Palestinian State at UN Summit; Macron Links Move to “Peaceful Future for Israel”
NEW YORK: France formally recognised the state of Palestine on Monday at the United Nations General Assembly, a landmark diplomatic...
Read More
Hamas Executes Three Palestinians Accused of Collaborating With Israel
GAZA CITY: Hamas gunmen publicly executed three Palestinians on Sunday, accusing them of collaborating with Israel, amid ongoing Israeli military...
Read More
Pills, Pregnancy and Politics: Trump’s Tylenol-Autism Claim Sparks Medical Backlash
WASHINGTON: U.S. President Donald Trump has reignited controversy by urging pregnant women to avoid Tylenol, claiming an unproven link between...
Read More
Cab driver fatally stabs wife 11 times near Bengaluru bus stand; daughter witnesses the attack
BENGALURU: A 32-year-old telecaller was brutally stabbed to death in full public view near the Sunkadakatte bus stand on Magadi...
Read More
Top Maoist Balakrishna, Accused in Vyas and Madhav Reddy Killings, Dies in Chhattisgarh Encounter
HYDERABAD: Modem Balakrishna, a veteran Maoist strategist accused in several high-profile assassinations—including the killings of IPS officer K.S. Vyas (1993)...
Read More
DNA Fingerprinting Provides Breakthrough in Hyderabad Child Murder Case
HYDERABAD: Forensic experts at the Telangana State Forensic Science Laboratory (FSL) delivered decisive evidence in the brutal murder of a...
Read More
Mumbai: Businessman Duped of ₹41 Lakh in Fake Gold Biscuit Deal; Four Booked
MUMBAI: Powai police have booked four men for cheating a Madhya Pradesh-based businessman of ₹41 lakh in a fraudulent gold...
Read More
H-1B Visa $100K Fee Pushes Sector V Tech Firms Toward Remote Work, India-Centric Operations
KOLKATA: The steep $100,000 H-1B visa fee has jolted tech firms in Kolkata’s Sector V, prompting multinational and local companies...
Read More
Delhi Drug Empire Busted: Minors Used as Lookouts, Heroin Traded via Baskets; Queenpin’s Daughters Booked, Mother Absconding
NEW DELHI: Delhi Police have exposed the elaborate financial and operational web of absconding drug queenpin Kusum, who has been...
Read More
Bareilly Medico Death: ‘Accident’ Theory Collapses, Classmate Arrested for Murder Over Money Dispute
BAREILLY: The mysterious death of a 22-year-old MBBS student in Shahjahanpur last year has been confirmed as murder, with police...
Read More
Madhya Pradesh: 12-Year-Old Girl, Chasing South Korean Dream, Rescued in Indore
INDORE: A 12-year-old girl, inspired by South Korean youth icons she followed on social media, attempted to set out for...
Read More
Brazil Protests: 42,000 March in São Paulo Against Amnesty for Bolsonaro, Condemn ‘Banditry Bill’
Tens of thousands took to the streets across Brazil on Sunday to oppose proposed laws that could grant amnesty to...
Read More
‘Family Unhappy with Relationship’: Woman Abducted at Gunpoint During Garba Practice in MP, Rescued by Police
INDORE: Panic struck a garba practice session in Mandsaur on Saturday night when a woman was abducted at gunpoint in...
Read More
‘Performative’: US on Allies’ Recognition of Palestinian State, Reaffirms Israel’s Security as Priority
The United States dismissed the recent recognition of Palestine by the UK, Australia, Canada, and Portugal as a “performative gesture,”...
Read More
UP Man Mistakenly Boards Wrong Train, Dies After Jumping Off at Salempur Station
Deoria (UP): A 42-year-old man died after attempting to jump from a moving train he had mistakenly boarded at Salempur...
Read More
Pune: Drugs Worth ₹2.61 Crore Seized from Passenger Arriving from Bangkok
Pune: Customs officials at Lohegaon airport seized narcotics valued at ₹2.61 crore from a passenger arriving on an Air India...
Read More
Chennai: Woman Stabs Live-In Partner Over Suspected Affair; Victim Dies
Chennai: A 31-year-old woman has been arrested for allegedly stabbing her live-in partner to death following suspicions of an extramarital...
Read More
Vijayapura SBI Heist: Rs 41 Lakh Cash, 6.5 Kg Gold Recovered After Robbers Abandon Loot in Maharashtra
Vijayapura: Karnataka police have recovered part of the valuables looted from the State Bank of India’s Chadchan branch earlier this...
Read More
Andhra Pradesh: Drunk Man Bites Off Snake’s Head After Being Bitten; Critical in Hospital
Tirupati: In a bizarre and horrifying incident, a man in Thottambedu mandal, Tirupati district, bit off the head of a...
Read More




